svgImg

مشاريعنا

عرض خبراتنا

مخطط عكاظ

مخطط عكاظ

يُعد مشروع عكاظ مشروعًا رئيسيًا للتنمية الحضرية يقع في الرياض، ويغطي مساحة إجمالية قدرها 400 ألف متر مربع.

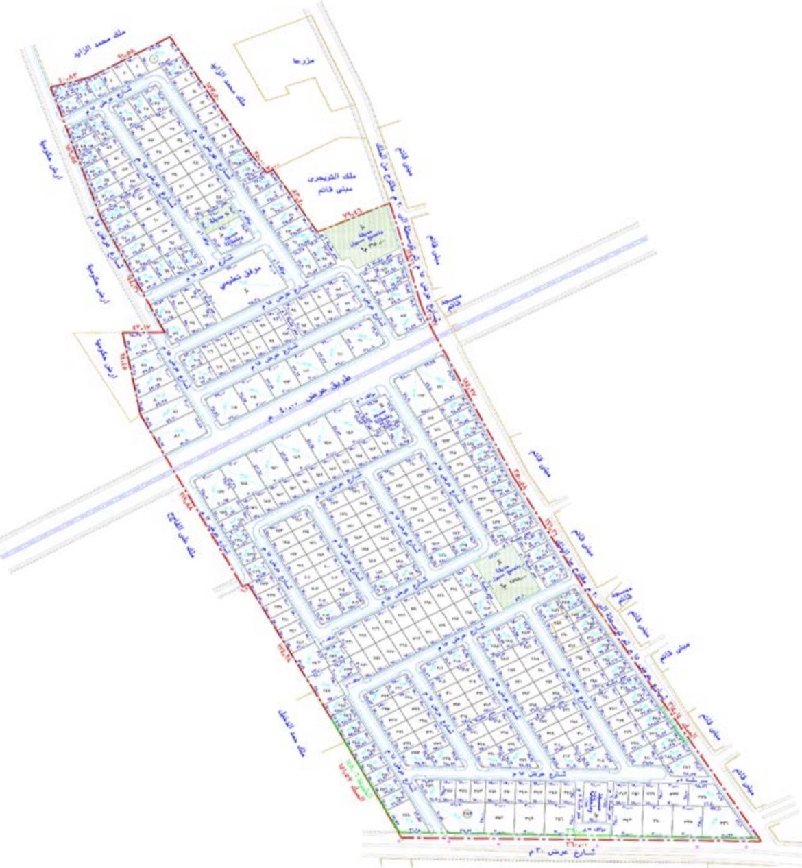
مخخط زهرة الشرق

مخخط زهرة الشرق

يُعد مشروع زهرة الشرق مشروعًا رئيسيًا للتنمية الحضرية يقع في الرياض، ويغطي مساحة إجمالية قدرها 5,300,000 متر مربع.

مخطط المنار

مخطط المنار

يُعد مشروع المنار مشروعًا رئيسيًا للتنمية الحضرية يقع في مكه، ويغطي مساحة إجمالية قدرها 300 ألف متر مربع.

مخطط النخبة

مخطط النخبة

يُعد مشروع النخبة مشروعًا رئيسيًا للتنمية الحضرية يقع في الرياض، ويغطي مساحة إجمالية قدرها 5,400,000 متر .

مخطط الصفا

مخطط الصفا

يُعد مخطط الصفا مشروع تطوير عمراني مهم يقع في مدينة بريدة، ويغطي مساحة إجمالية قدرها 400,000 متر مربع.

مخطط حطين

مخطط حطين

يُعد مخطط حطين مشروعًا رئيسيًا للتنمية الحضرية يقع في بريدة، ويغطي مساحة إجمالية قدرها 1,400,000 متر مربع.

مخطط الليوان

مخطط الليوان

يُعد مخطط الليوان مشروعًا رئيسيًا للتنمية الحضرية يقع في بريدة، ويغطي مساحة إجمالية قدرها 900,000 متر مربع.

مخطط ديراب

مخطط ديراب

يُعد مخطط ديراب مشروعًا رئيسيًا للتنمية الحضرية، ويغطي مساحة إجمالية قدرها 13,000,000 متر مربع، ويهدف إلى تطوير البنية التحتية وطرح القطع المطوّرة للاستثمار والبيع

مخطط فلج حطين

مخطط فلج حطين

يُعد مخطط فلج حطين مشروعًا رئيسيًا للتنمية الحضرية ، ويغطي مساحة إجمالية قدرها 1,270,488 متر مربع، ويهدف إلى تطوير البنية التحتية وطرح القطع المطوّرة للاستثمار والبيع

مخطط المنار

مخطط المنار

يُعد مخطط المنار مشروعًا رئيسيًا للتنمية الحضرية، ويغطي مساحة إجمالية قدرها 279,353 متر مربع، ويهدف إلى تطوير البنية التحتية وطرح القطع المطوّرة للاستثمار والبيع.

مخطط النظيم

مخطط النظيم

يُعد المخطط النظيم مشروعًا رئيسيًا للتنمية الحضرية، ويغطي مساحة إجمالية قدرها 5,389,269 متر مربع، ويهدف إلى تطوير البنية التحتية وطرح القطع المطوّرة للاستثمار والبيع.